- Scris de Vox Cernica Vox Cernica
- Categorie: Stiri recente Stiri recente
- Creat: 24 Iulie 2017 24 Iulie 2017
- Accesări: 10074 10074
Portalul Vox Cernica va prezinta mai multe mesaje primite de la un cetatean (care doreste sa-si pastreze anonimatul), prin care ne prezinta mai multe date, fotografii, precum si sesizarile facute de acesta catre Garda Nationala de Mediu cu privire la depozitarile de moloz de pe Tarlaua 1 din sat Caldararu, Comuna Cernica (in spatele Garii Catelu) precum si pe Valea Tanganu. Portalul Vox Cernica nu a verificat in mod direct exactitatea datelor si informatiilor continute in mesajele prezentate mai jos si de accea nu isi asuma veridicitatea totala sau partiala a datelor si informatiilor transmise, insa prin publicarea acestor sesizari doreste sa atraga inca o data atentia cu privire la acest tip de agresiune asupra mediului inconjurator al comunei Cernica, in vederea unei solutionari favorabile a acestor probleme grave:
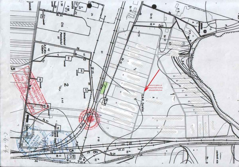
"Pe scurt, incepand cu 04.2017, de la santierul Dedeman, din Sec.3, "Republica" au ajuns ilegal, fara aviz de mediu, zeci de mii de tone de moloz, aduse cu sute de basculante, pe campiile din com Cernica, sat Caldararu, Tarla T1 ( in spatele Garii Catelu)...spre disperarea locuitorilor. Traficul ilegal de moloz s-a facut cu stiinta sefului de santier de la Dedeman, Sec.3 ca generator si a unui director de la Comtexin sa, com Cernica ca...primitor. O parte a ajuns pe terenul Bucegi sa, tot o firma de-a lor. Decat sa plateasca 30.000t x 10eur/t =300.000eur la depozit Glina, mai bina baga cancerul in com Cernica...Va trimit sesizarile catre GNM in forma lor originala. Inca nu a sosit raspunsul GNM. De-asemenea, in mod laudabil, Politia Cernica a intervenit prompt si rapid si a sanctionat basculantele prinse in direct, fapt ce a dus la stoparea fenomenului, in doar cateva zile. Autorii au incercat cu prosteala, cu un asa zis contract intre Dedeman si Comtexin sa, insa nu au putut aduce aviz de mediu. Dupa o saptamana autorii au inceput sa descarce molozul pe str Oxigenului, com cernica, dar si acolo a fost stopat fenomenul."
"Catre:
Administraţia Naţionala Apele Române
Administratia Bazinala de Apa Arges Vedea
Serviciul Inspectia Apelor
Adresa: Str. Edgar Quinet nr. 6, Sector 1, C.P. 010018, Bucureşti,
Tel./Fax: +40 21 311.01.46; Tel.: +40 21 315.13.03 Această adresă de email este protejată contra spambots. Trebuie să activați JavaScript pentru a o vedea.
Sesizare neindeplinire de catre U.A.T. Cernica, jud. Ilfov, a actului ... din ....2017 emis de Administraţia Naţionala Apele Române Va semnalez ca desi au trecut peste 60 zile din data de 01.02.2017, nici pana azi 02.04.2017, U.A.T Cernica nu a indeplinit actul ... din ....2017 emis de Administraţia Naţionala Apele Române prin care s-a dispus salubrizarea malului stang al Vaii Tanganu, avand ca termen 03.02.2017. Nu numai ca nu s-a salubrizat malul malul stang al Vaii Tanganu, ci in mod sfidator au aparut mii de tone de deseuri necontrolate, atat materiale de constructii, cat si industriale, formand halde ce sunt impinse pe luciul apei. Mai mult, se afla si cel putin un cadavru de animal mare.Haldele de deseuri, ocupa o suprafata de circa 1 hectar si sunt localizate pe portiunea de circa 350m dintre cele 2 linii de inalta tensiune. Prima linie are stalpi normali si cea de-a doua are stalpi in forma de trapez. Amploarea fenomenului poate fi usor observata si de pe Autostrada Soarelui, podul de la km18 + 300m sau de pe breteaua de intoarcere ce trece pe sub acel pod. Deseurile se afla la doar 200-300m de acest pod, cu acces pe o poteca de picior. Atasez in copie actul ....din ....2017 emis de Administraţia Naţionala Apele Române
Atasez un numar de 10 poze relevante, de la fata locului, din 01 si 02.04.2017.
In harta de mai jos, punctele albe reprezinta terenul afectat de depozitari de deseuri:
Fata de cele mai sus aratate va rog sa luati masurile legale ce se impun.
Cu respect,"
"Catre:
Ministerul Consultării Publice și Dialogului Social
Palatul Victoria, Piaţa Victoriei nr. 1, Sector 1, Bucureşti, ROMÂNIA, cod postal 011791
Telefon: 021 314 34 00, Int. 1219; Fax: 021 318 11 86 Această adresă de email este protejată contra spambots. Trebuie să activați JavaScript pentru a o vedea.
Sesizare lipsa solutionare pericol public, in peste 1 luna, de la raspunsul nr.... din ....2017 emis de catre Primaria Cernica, jud Ilfov. Va semnalez ca desi a trecut peste 1 luna de la raspunsul nr.... din ....2017 emis de catre Primaria Cernica, jud Ilfov(atasat), nici pana azi 17.06.2017 nu s-a solutionat deficienta, care este un pericol public si nici nu s-a propus un termen de solutionare rezonabil. Sesizarea initiala se refera la faptul ca pe raza jud Ilfov, com. Cernica, sat Caldararu, Str Oxigenului, pe partea carosabila, exista mai multe guri de canal ce nu au capac, nesemnalizate, reprezentand pericol public, asa cum corect a constatat si Politia Cernica prin act Act nr... din ....2017 (atasat). Mentionez ca strada este deschisa circulatiei publice de mai multi ani, fara a fi in regim de santier/ amenajare.
In harta de mai jos, apare amplasamentul str Oxigenului, com Cernica, lunga de circa 1km:
In sustinerea celor de mai sus atasez:
1) Act ... din ...2017 emis de Primaria Comunei Cernica
2) Act .... din ...2017 emis de Politia Oras Pantelimon, Post Politie Cernica
3) 2 poze de la fata locului cu 2 canale fara capac
Fata de cele mai sus aratate, va rog sa luati masurile legale ce se impun.
Cu respect,"






































Abonare pentru a fi notificat cu privire la comentariile noi
Raportati
Comentariile mele